Por Julio Solano



Por Efe

AGENDA DEL ARTE Y LA CULTURA
ACENTO CULTURAL
Por Danilo Ginebra

JOSÉ AUGUSTO VEGA IMBERT: SUS MEMORIAS
Cuba


Actualidad
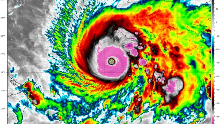
Melissa llega a Cuba como huracán de categoría 3 tras dejar una estela de devastación en Jamaica
Por BBC News Mundo
Últimas noticias
{{#title}}{{rendered}}{{/title}}
Editorial
Colombia en la mirilla de Trump por el discurso de Petro en la ONU
30 de Octubre de 2025
Síguenos en nuestras redes
Especiales
BBC News Mundo
Lo más leído
{{#title}}{{rendered}}{{/title}}
Revestida
Alianza Defensores y Defensoras
France24
RFI
{{#volanta}}
{{#author}}
{{volanta}}
{{/volanta}}{{title}}
Por {{author}}
{{/author}}










































































