Turismo y comunicación
Esta noche se entrega el Premio PEL 2025 al periodismo turístico dominicano

Fundéu Guzmán Ariza
“Portaaviones”, pero también “portaviones”




Por Efe
JOSÉ AUGUSTO VEGA IMBERT: SUS MEMORIAS
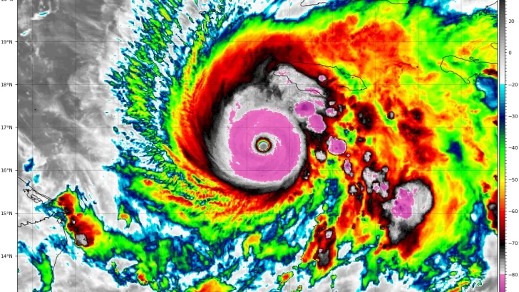
tormenta tropical Melissa


BBC News Mundo
El huracán Melissa alcanza la categoría 5 y deja al menos 7 muertos en Jamaica, Haití y República Dominicana
Por BBC News Mundo
Últimas noticias
{{#title}}{{rendered}}{{/title}}
Editorial
Educación superior, a propósito del aniversario de la UASD
28 de Octubre de 2025
Síguenos en nuestras redes

BALONCESTO NBA
Spurs, Thunder, Sixers y Bulls resisten como únicos invictos

FÚTBOL MUNDIAL 2026
Lionel Messi: "El sueño de mi vida" y ahora defender la Copa Mundial

Por Francisco Calderón Hernández



BBC News Mundo
Lo más leído
{{#title}}{{rendered}}{{/title}}
Revestida
Alianza Defensores y Defensoras
France24
RFI


Literatura
"Temporada de huracanes": lenguaje, violencia y exclusión en la novela de Fernanda Melchor
Por Julio Adames

Relaciones internacionales
Embajador dominicano en Brasil recibe condecoración Gran Cordón del Gobierno del Japón


Por Efe

Por Ana Esmirna Ferreira
{{#volanta}}
{{#author}}
{{volanta}}
{{/volanta}}{{title}}
Por {{author}}
{{/author}}
































































