El Instituto Dominicano de Meteorología (Indomet) informó que, este domingo 30 de noviembre, concluye la temporada ciclónica 2025, un período en el que se formaron 13 ciclones tropicales nombrados, de los cuales 5 alcanzaron la categoría de huracán, y de estos, 4 evolucionaron a intensos (categorías 3 a 5 en la escala Saffir-Simpson).
La institución destacó que la temporada se desarrolló ligeramente por debajo del promedio normal en cuanto al número de ciclones nombrados, pero levemente por encima en la cantidad de los que alcanzaron mayor intensidad.
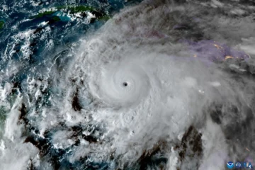
El organismo precisó que, se formaron las tormentas tropicales Andrea, Barry, Chantal, Dexter, Fernand, Jerry, Karen y Lorenzo, así como los huracanes Erin (categoría 5), Gabrielle (categoría 4), Humberto (categoría 5), Imelda (categoría 2) y Melissa (categoría 5).
El Indomet explicó que el comportamiento de la temporada estuvo caracterizado, inicialmente, por condiciones neutrales del ENOS (El Niño-Oscilación del Sur) en el Pacífico Central y Oriental, y posteriormente, por el establecimiento del fenómeno La Niña.
Señaló, además, que octubre fue el mes más activo de la temporada, con la formación de 4 ciclones nombrados, debido a que las temperaturas de la superficie del mar en el Atlántico norte se mantuvieron entre 29 °C y 30 °C, niveles propicios para el desarrollo ciclónico.
Impactos en República Dominicana
La entidad destacó que, aunque el país no recibió impactos directos, fue afectado indirectamente por el huracán Erin, que generó oleaje anormal en la costa atlántica, y por Melissa, que produjo intensas lluvias, provocando inundaciones y deslizamientos de tierra, principalmente en las regiones suroeste y sureste, donde se registraron acumulados, en 24 horas, de 192.4 mm en Polo, Barahona, y 177.9 mm en Santo Domingo Este.
El Indomet reiteró su compromiso con el monitoreo permanente de los sistemas tropicales y la emisión de informaciones meteorológicas oportunas, a fin de salvaguardar vidas y bienes.
Noticias relacionadas
Compartir esta nota
