Noticias de INDOMET
Entérate de las últimas noticias de INDOMET en Acento

























































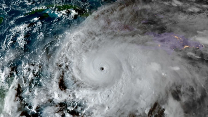
La trayectoria del huracán Melissa
Huracán Melissa categoría 5 en vivo: Se espera un impacto devastador en Jamaica, conoce la trayectoria y el informe del tiempo hoy



No te pierdas
las últimas noticias
Síguenos en Google News
EN VIVO

























































La trayectoria del huracán Melissa


