Un hombre mira hacia las fuertes olas del mar en Jamaica

Reuters
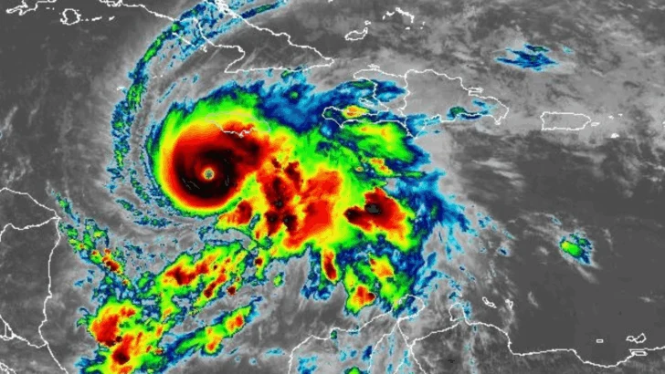
El huracán Melissa se dirige directamente hacia el sur de Jamaica.

Los habitantes de Jamaica se preparan este lunes para el grave impacto del huracán Melissa, que según los pronósticos provocará vientos destructivos e inundaciones catastróficas en su trayectoria directa hacia la isla del Caribe.

En la madrugada, Melissa alcanzó la categoría 5, la máxima intensidad de estos fenómenos, según informó el Centro Nacional de Huracanes (NHC) de Estados Unidos.

Sus vientos máximos alcanzaban los 270 km/h, según el boletín del NHC de la mañana de este lunes.

Las autoridades temen que Melissa, que ya ha causado la muerte de cuatro personas en la vecina isla de La Española, pueda convertirse en el huracán más fuerte que haya azotado Jamaica en su historia.

Según los últimos modelos de análisis, el huracán tocará tierra en el sur de Jamaica cerca de las 08:00 del martes. Después de cruzar la isla hacia el noreste, volvería a impactar a Cuba por la noche.

Desde el sábado ya había grandes olas llegando a la costa de Jamaica y se espera que la isla experimente una marejada ciclónica para este lunes por la noche y el martes.

El gobierno jamaicano ha ordenado la evacuación de algunas zonas de la capital, Kingston, y toda la isla ha sido clasificada como "amenazada".

Si continúa por la trayectoria prevista, se espera que su núcleo "se desplace cerca o sobre Jamaica esta noche y el martes, sobre el sureste de Cuba el martes por la noche y sobre el sureste de las Bahamas el miércoles", según el NHC.

Una imagen satelital del huracán Melissa con sus amplias bandas de nubosidad y su centro cercano a la isla de Jamaica

Getty Images

Su peligrosa lentitud

Melissa se ha caracterizado por un avance particularmente lento sobre aguas del Caribe, lo cual representa un mayor riesgo debido a que sus fuertes lluvias se mantienen durante más tiempo en la región.

Según los pronósticos, en algunas zonas de Jamaica podrían caer 100 cm de lluvia en los próximos cuatro días, lo cual es una grave amenaza en términos de inundaciones.

Los meteorólogos también advierten de que se esperan vientos destructivos y marejadas ciclónicas con potencial mortal para la gente.

Esto podría empezar a verse desde la noche de este lunes y la madrugada del martes.

Varias personas cargan costales de arena a sus vehículos en una playa de Jamaica

Reuters
Algunos jamaicanos se preparaban con costales de arena para contrarrestar las posibles inundaciones.
Varios hombres tiran de una embarcación en tierra

Reuters
Muchas embarcaciones en Port Royal fueron sacadas del agua ante la llegada del huracán Melissa.

El primer ministro de Jamaica, Andrew Holness, ha ordenado la evacuación inmediata de varias comunidades vulnerables de toda la isla.

Las autoridades también han instado a los habitantes de las zonas bajas y propensas a las inundaciones a buscar refugio en áreas más seguras.

El ministro del interior de Jamaica, Desmond McKenzie, declaró a los medios de comunicación locales que 881 refugios de la isla están abiertos.

Una mujer con el agua hasta las rodillas camina en una calle inundada en República Dominicana

Reuters
Melissa ya causó algunas inundaciones en República Dominicana y Haití.

Horas antes, las fuertes lluvias provocadas por el huracán Melissa generaron inundaciones en barrios de Santo Domingo, la capital de República Dominicana. Un hombre de 79 años fue arrastrado por una crecida y falleció, según reportes de la prensa local.

También se ha informado de la desaparición de un niño de 13 años que fue arrastrado por las fuertes corrientes mientras nadaba en el mar. Varias personas fueron rescatadas tras quedar atrapadas en sus coches por la crecida de las aguas.

Desde Haití hubo reportes de que al menos tres personas murieron y cientos de viviendas sufrieron inundaciones, ya que Melissa trajo lluvias torrenciales a buena parte de la isla La Española.

Luego de su paso por Jamaica, se prevé que el huracán vuelva a aguas del Caribe antes de volver a tocar tierra en el sureste de Cuba.

""

BBC

Haz clic aquí para leer más historias de BBC News Mundo.

Suscríbete aquí a nuestro nuevo newsletter para recibir cada viernes una selección de nuestro mejor contenido de la semana.

También puedes seguirnos en YouTube, Instagram, TikTok, X, Facebook y en nuestro nuevo canal de WhatsApp.

Y recuerda que puedes recibir notificaciones en nuestra app. Descarga la última versión y actívalas.

!function(s,e,n,c,r){if(r=s._ns_bbcws=s._ns_bbcws||r,s[r]||(s[r+"_d"]=s[r+"_d"]||[],s[r]=function(){s[r+"_d"].push(arguments)},s[r].sources=[]),c&&s[r].sources.indexOf(c)<0){var t=e.createElement(n);t.async=1,t.src=c;var a=e.getElementsByTagName(n)[0];a.parentNode.insertBefore(t,a),s[r].sources.push(c)}}(window,document,"script","https://news.files.bbci.co.uk/ws/partner-analytics/js/fullTracker.min.js","s_bbcws");s_bbcws('syndSource','ISAPI');s_bbcws('orgUnit','ws');s_bbcws('platform','partner');s_bbcws('partner','acento.com.do');s_bbcws('producer','mundo');s_bbcws('language','es');s_bbcws('setStory', {'origin': 'optimo','guid': 'cn7ed8ejym6o','assetType': 'article','pageCounter': 'mundo.articles.cn7ed8ejym6o.page','title': 'El huracán Melissa alcanza la categoría 5 y amenaza a Jamaica en su avance por el Caribe','author': 'Vanessa Buschschlüter – BBC News','published': '2025-10-27T16:19:08.166Z','updated': '2025-10-27T17:36:08.829Z'});s_bbcws('track','pageView');

BBC News Mundo

La British Broadcasting Corporation (Corporación Británica de Radiodifusión) es el servicio público de radio, televisión e internet de Reino Unido, con más de nueve décadas de trayectoria. Es independiente de controles comerciales y/o políticos y opera bajo un estatuto real que garantiza dicha independencia. La BBC cuenta con una red de más de 250 corresponsales en territorio británico y más de 100 ciudades capitales de todo el mundo.

Ver más