
En la provincia sureña de Guangdong, en China, una nueva silueta se perfila en el horizonte lejos de sus costas: se han instalado cientos de turbinas eólicas en el mar Meridional de China para generar electricidad renovable para sus residencias, oficinas y fábricas.
Las torres enormes -algunas de hasta 30 pisos de altura- son el símbolo de la ambición de China hacia un futuro más verde. Guangdong, uno de los centros de parques eólicos marinos del país, ya alberga casi el 15% de todas las turbinas instaladas en el océano en todo el mundo.
En los siguientes cinco años, el gobierno local planea más que duplicar esa flota.
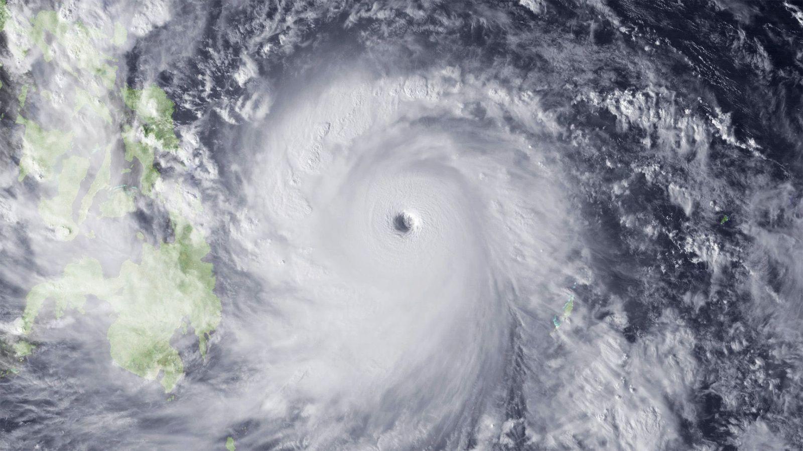
Estas turbinas están en el camino de uno de los fenómenos meteorológicos más destructivos de la Tierra, que golpea las costas de China año tras año: los tifones, ciclones tropicales que se originan en el noroccidente del Pacífico.
Estas poderosas tormentas traen consigo vientos de 119 km/h o más. Aterrorizan los países del este y sureste asiático cada temporada entre mayo y noviembre, y suelen dejar un rastro de muerte y destrucción, incluyendo edificios desplomados y calles inundadas.
El tifón Ragasa, que devastó el sur de China en septiembre y fue una de las tormentas más potentes de este año, alcanzó velocidades de 241 km/h.
Los tifones son el mismo fenómeno que los huracanes: ambos son tormentas giratorias alimentadas por el aire cálido, y simplemente tienen nombres diferentes dependiendo de dónde ocurren.
Si se originan en el Atlántico Norte y el noreste del Pacífico, se llaman huracanes; en el noroccidente del Pacífico, se llaman tifones.

No obstante, amplias regiones costeras de China que enfrentan tifones múltiples varias veces al año, también tienen los mejores recursos eólicos marinos, señala Zhu Ronghua, director del Laboratorio de Energía Eólica Marina Yangjiang, un instituto respaldado por el gobierno de Guangdong.
El desafío, dice, es construir parques eólicos que puedan cosechar la energía del tifón. "Es extremadamente importante que las turbinas instaladas en esas regiones no sólo resistan los tifones, sino también que aprovechen las ráfagas fuertes que anticipan sus llegadas", explica Zhu.
Las compañías chinas están a la vanguardia de la investigación, desarrollo e instalación comercial de turbinas eólicas resistentes a los tifones, comenta Qiao Liming, que en el momento de esta entrevista era director de estrategia asiática ante el Consejo Global de Energía Eólica (GWEC, por sus siglas en inglés), una entidad de comercio global para el sector de energía eólica.
"El gobierno chino ha tomado una decisión estratégica para hacer del viento marino un pilar de sus metas "duales de carbón", indica Qiao. Las metas se refieren a llegar al máximo de emisiones de carbono antes de 2030 y alcanzando una neutralidad de carbón antes de 2060.
La batalla contra la naturaleza
Hay diferentes maneras de definir una turbina resistente a los tifones. A nivel nacional, China tiene un patrón que guía a las compañías a fabricar turbinas "tipo tifón" capaces de resistir durante 10 minutos vientos de un promedio de 198km/h.
A nivel global, la Comisión Electrotécnica Internacional (IEC, por sus siglas en inglés) -una organización que publica las normas internacionales para las tecnologías eléctricas, electrónicas y afines- ha desarrollado guías para las turbinas "clase tifón" que resistan vientos de 205km/h durante 10 minutos y ráfagas de hasta 290km/h durante tres segundos.
Ninguna de las guías es obligatoria, pero los fabricantes pueden tener sus productos certificados por una tercera empresa para cumplir con estas normas. Algunas turbinas en China no cuentan con esa certificación, pero han sobrevivido tifones, así que se convierten en resistentes a los tifones en la vida real, según los expertos de la industria.
En promedio, se proyecta que un parque eólico marino chino experimente por lo menos 100 tifones durante su vida útil para la que fue diseñado, que normalmente son 25 años, según un vocero de Goldwind, un fabricante chino de turbinas eólicas.
"Si una turbina eólica se desploma, puede amenazar vidas humanas y causar pérdidas financieras enormes", resaltó el portavoz.
Desastres en el pasado han demostrado la severidad de los daños. En 2006, el súper tifón Saomei tocó tierra en la provincia oriental china de Zhejiang, con ráfagas de hasta 245 km/h. Destruyó 27 turbinas en un parque eólico terrestre, cinco de las cuales se desplomaron. El incidente causó pérdidas abrumadoras de US$70 millones.

Durante un tifón, cada parte de una turbina está sometida a presión extrema.
Sus aspas son vulnerables a las fracturas, rajaduras y quiebres porque la velocidad y la dirección del viento suelen cambiar repentina y dramáticamente. La torre se puede doblar o desplomar, y los cimientos -que también están sometidos a la presión de la subida de las olas y las rápidas corrientes oceánicas- están en riesgo de deformarse o volcarse.
La lluvia y los relámpagos también pueden dañar las turbinas.
Cuando un tifón se acerca, el parque eólico suele apagar sus turbinas por medio de un sistema de control remoto una vez que la velocidad del viento alcanza sus límites operacionales, según Han Yujia, una investigadora de energía renovable del Global Energy Monitor (GEM), una ONG basada en California.
Muchas turbinas también tiene la capacidad de apagarse automáticamente, afirma. Las turbinas luego son encendidas por sus generadores de diésel o baterías internas. Un sistema de control les permite reaccionar en tiempo real -como cambiar la dirección en que apuntan o alterar el ángulo de sus aspas- para minimizar el impacto del tifón, indica Han.
Tanto las turbinas eólicas terrestres como marinas necesitan estar a prueba de tifones si van a ser instaladas en áreas expuestas a ese fenómeno climatológico, pero estos recaudos juegan un papel más crucial para las marinas porque los tifones son mucho más intensos en el mar, expresa Xiaoli Guo Larsén, profesor del departamento de Sistemas Eólicos y Energéticos de la Universidad Técnica de Dinamarca.
Erguidas y firmes
Importantes empresas chinas han aumentado la resiliencia de sus turbinas utilizando una combinación de estrategias, según Han. Estas incluyen el desarrollo de materiales avanzados, una mejor capacidad para pronosticar el tiempo y la renovación de los sistemas de control de las turbinas, explica la investigadora.
Un buen ejemplo, según Han, es el modelo llamado OceanX fabricado por el Grupo Mingyang Smart Energy de China.
Con una base flotante, el modelo OceanX sostiene no solo una sino dos turbinas. La principal razón de este diseño singular es aumentar la producción de la plataforma.
Comparadas a una turbina sencilla, las dos turbinas combinadas de OceanX pueden generar 4,29% más electricidad, asegura Mingyang.
Esto se debe a que las aspas de las dos turbinas giran lado a lado en direcciones opuestas -una en el sentido de las manecillas del reloj y la otra en sentido contrario- así que el viento entre las dos sopla más rápido, permitiendo una mayor conversión de energía eléctrica de la energía cinética del aire, afirma la compañía.
Pero la plataforma flotante también cuenta con una serie de características intrigantes para contrarrestar los tifones y mantener el equilibrio durante un clima extremo, informa Wang Chao, el principal diseñador de la turbina.
Por ejemplo, la base está anclada al fondo del océano por lazos atados por debajo a un solo punto. Eso le permite a la estructura cambiar su orientación más fácilmente para estar alineada con el viento. "Mientras las turbinas estén de cara al tifón, la carga (fuerza) que enfrenten será la más pequeña y estarán más seguras", dice Wang.
Otra característica es el concreto de "rendimiento ultra alto" utilizado en la construcción de la base de OceanX. Es cuatro veces más fuerte que el concreto normal y puede resistir presiones en exceso de 115 megapascales (MPa) -eso es más que 7.530 kg por pulgada cuadrada- indica Wang.
En septiembre 2024, el modelo se instaló en un parque eólico a unos 70 km de la costa de la ciudad de Yangjiang, en Guangdong, unas semanas antes de que el súper tifón Yagi -el más fuerte visto en China en una década- golpeara las costas sureñas del país.
OceanX estaba localizado en una zona del agua que experimentó un viento con velocidades de hasta 133 km/h, y aguantó con éxito el vendaval y las olas, afirma Wang.

Más cerca al sitio donde Yagi tocó tierra, 47 turbinas eólicas fabricadas por Goldwind resistieron una velocidad máxima de viento de 161 km/h durante seis horas frente a la costa del condado Xuwen en Guangdong, según el portavoz de la compañía.
Esas turbinas también lograron generar un total de 2,1 gigavatios-horas (GWh) de energía en cuestión de nueve horas cuando Yagi atravesó la región, añadió el portavoz. Esa cantidad de electricidad puede suplir el consumo de 2.100 ciudadanos chinos o casi 800 familias de tres en Reino Unido durante un año.
Goldwind logró esa hazaña a través de una serie de innovaciones, explica el portavoz, incluyendo el uso de materiales más fuertes como fibra de carbono y un sistema de monitoreo avanzado que le ayuda al personal de los parques eólicos tener acceso a estatus de las turbinas en tiempo real para así tomar las mejores decisiones.
Investigadores afirman que es importante que las turbinas marinas puedan capturar las ráfagas de los tifones siempre y cuando sea seguro hacerlo. De otra manera, la turbina tendría que apagarse cuando la velocidad del viento exceda 88 km/h -la velocidad promedio de corte para las turbinas- comenta Zhang Mengqi, otra investigadora de GEM. "Entonces una enorme cantidad de energía limpia se desperdiciaría", apunta.
Torres rotas
Los ciclones tropicales se forman sobre las aguas más cálidas del océano cerca del ecuador y típicamente se desplazan por el occidente hacia los polos, así que rara vez impactan a Europa, aunque el continente está enfrentando tormentas cada vez más intensas.
Estados Unidos todavía no ha construido parques eólicos marinos a gran escala en sus regiones sureñas afectadas por huracanes, indica Zhu.
"En este momento, China podría contar con las tecnologías más avanzadas de turbinas eólicas resistentes a tifones", añade.
La tecnología tiene un enorme mercado interno. Dentro de la próxima década, unos 170 GW de nueva capacidad eólica marina -más del doble del total de la actual capacidad eólica marina global- estarán conectados al tendido eléctrico de China, y aproximadamente 60% de estos estarán localizados en regiones afectadas por tifones, según Wang Yufan, un analista de la firma de análisis y consultoría Wood Mackenzie.
Pero accidentes graves seguirán ocurriendo. Tras el paso de Yagi, el parque eólico costero en la ciudad de Wenchang, Hainan, resultó severamente dañado por el súper tifón cuando llegó tierra en la ciudad, con ráfagas de hasta 223 km/h. (Yagi tocó tierra en cuatro lugares en el este y sureste asiático). Las fotos posteriores muestran los escombros de unas siete turbinas destrozadas en la playa, con todas sus torres rotas.
Numerosos investigadores le revelan a la BBC que esas turbinas acababan de ser instaladas y no estaban conectadas a la energía, así que no podían hacer los ajustes necesarios durante Yagi para protegerse.
Más recientemente, el tifón Ragasa arrasó el sur de China a finales de septiembre, forzando la evacuación de más de 2,2 millones de personas en la provincia de Guangdong, según informó la agencia estatal Xinhua. En Yangjiang, cuando Ragasa tocó tierra, el gobierno local desplazó a 167.343 personas a lugares seguros y abrió los 1.038 refugios de la ciudad para los residentes, reportó la agencia.

Aunque es demasiado temprano para evaluar completamente el impacto de este reciente tifón, por lo menos cinco turbinas eólicas en Yangjiang se desplomaron, de acuerdo a los periodistas en la ciudad reportando para las publicaciones chinas Red Star News y Cover News.
El desastre natural, que duró tres días, puede haber generado en el peor de los casos hasta US$66 millones en pérdidas económicas para los parque eólicos marinos en China, según las proyecciones hechas por la China Property and Casualty Reinsurance Company, una empresa de seguros en Pekín, antes de que Ragasa tocara tierra.
OceanX resistió una velocidad de viento máxima de 152 km/h con el paso de Ragasa, informa Wang. Según Mingyang, el tifón afectó las 1.345 turbinas eólicas marinas de la empresa en tres provincias, y todas se desenvolvieron bien.
Un equipo de expertos de Goldwind habían proyectado el paso de Ragasa cinco días antes de que tocara tierra usando un sistema de alerta temprana desarrollo propio, y creó un plan contra tifones para cada una de las turbinas eólicas de la compañía afectadas por el evento, según el portavoz de la compañía.
La estrategia anticipada ayudó a más de 260 turbinas marinas de Goldwind a sobrevivir el evento con éxito, aun cuando las velocidades del viento aumentaron repentinamente de 68 a 144 km/h en el lapso de unas pocas horas y la dirección del viento cambió 150 grados en cuestión de 15 minutos el 24 de septiembre, añadió el portavoz.
Turbinas "palmera"
A medida que crece el interés en energía eólica marina, también se presentan desafíos. Uno es que se está volviendo más difícil mantener las turbinas seguras a medida que las aspas se vuelven cada vez más largas.
Una solución potencial sería usar aspas a "sotavento" -o sea, aspas colocadas detrás del motor, en lugar de enfrente- para proteger la turbina, de acuerdo a un proyecto elaborado por varias universidades en EE.UU.
Las aspas convencionales a "barlovento" están colocadas enfrente del motor para darle la cara al viento. Cuando se colocan de esa manera, las aspas largas deben ser lo suficientemente rígidas para no encorvarse hacia atrás con los vientos fuertes y golpear la torre cuando giran, dice Lucy Pao, una profesora de la Universidad de Colorado, en Boulder, que participó en el proyecto entre 2016 y 2022.
Sin embargo, fabricarlas así de rígidas usualmente requiere materiales costosos, afirma.
Las aspas a "sotavento" propuestas por Pao y sus colegas fueron inspiradas en palmeras flexibles pero resilientes que podían ser construidas con materiales más costo-efectivos. Se fijan detrás del motor con la cara opuesta de donde viene el viento, y se pueden doblar para evadir las ráfagas (las turbinas OceanX de Mingyang tienen aspas a sotavento pero no se pueden doblar).
Otro problema es la "intensificación rápida" de los tifones, que significa que se están volviendo más intensos a lo largo de un período de tiempo más corto, cuenta Han.
Un análisis de 2023 encontró que el número de tifones que se intensificaron rápidamente al año en áreas marítimas dentro de 400km de la costa se triplicaron entre 1980 y 2020 debido al cambio climático.
Los fabricantes de parque eólicos y turbinas deberán diseñar estrategias efectivas para responder a esa tendencia, añade. Han también cree que los fabricantes deberían hacer partes intercambiables para las turbinas marinas para que puedan ser fijadas más fácilmente después de sufrir daños.
No obstante, muchos consideran que la vasta experiencia de China en la fabricación de turbinas resistentes a tifones es valiosa para otras regiones, como el sureste asiático, que está interesadas en aprovechar su viento marino pero también enfrentan ráfagas anuales.
También hay desafíos adicionales, advierte Qiao de GWEC. Cada proyecto de energía eólica debe considerar las condiciones del viento específicas al sitio para seleccionar los modelos de turbina apropiados, explica. Además, muchas regiones afectadas por tifones en Asia son islas remotas con redes eléctricas débiles y diferentes estándares de energía, así que esos proyectos de energía eólica deben ser cuidadosamente estudiados, añade.
Pero los expertos también consideran la continua batalla de la industria eólica marina contra la naturaleza como un desafío de ingeniería fascinante.
"Los ciclones tropicales son un desafío para el desarrollo de la energía eólica porque pueden ser muy destructivos", comenta Larsén. "Pero también ofrecen una oportunidad para que los humanos usemos nuevas tecnologías para desarrollar las mejores turbinas que puedan resistir las más duras condiciones".
![[]](https://ichef.bbci.co.uk/ace/standard/raw/cpsprodpb/3322/live/567ecc80-a9c4-11f0-b2a1-6f537f66f9aa.png)
Haz clic aquí para leer más historias de BBC News Mundo.
Suscríbete aquí a nuestro nuevo newsletter para recibir cada viernes una selección de nuestro mejor contenido de la semana.
También puedes seguirnos en YouTube, Instagram, TikTok, X, Facebook y en nuestro nuevo canal de WhatsApp, donde encontrarás noticias de última hora y nuestro mejor contenido.
Y recuerda que puedes recibir notificaciones en nuestra app. Descarga la última versión y actívalas.
- Cómo las energías renovables superaron por primera vez al carbón como principal fuente de electricidad en el mundo
- "La reina de las tormentas": las imágenes del supertifón Ragasa que deja al menos 17 muertos en Taiwán y obliga a evacuar a millones en China
- Qué es el "robo de viento" y por qué se considera un problema en la producción de energía renovable en todo el mundo
!function(s,e,n,c,r){if(r=s._ns_bbcws=s._ns_bbcws||r,s[r]||(s[r+"_d"]=s[r+"_d"]||[],s[r]=function(){s[r+"_d"].push(arguments)},s[r].sources=[]),c&&s[r].sources.indexOf(c)<0){var t=e.createElement(n);t.async=1,t.src=c;var a=e.getElementsByTagName(n)[0];a.parentNode.insertBefore(t,a),s[r].sources.push(c)}}(window,document,"script","https://news.files.bbci.co.uk/ws/partner-analytics/js/fullTracker.min.js","s_bbcws");s_bbcws('syndSource','ISAPI');s_bbcws('orgUnit','ws');s_bbcws('platform','partner');s_bbcws('partner','acento.com.do');s_bbcws('producer','mundo');s_bbcws('language','es');s_bbcws('setStory', {'origin': 'optimo','guid': 'cpwv5nnxyx9o','assetType': 'article','pageCounter': 'mundo.articles.cpwv5nnxyx9o.page','title': 'Cómo China está aprendiendo a usar la fuerza destructiva de los tifones para generar energía','author': 'Xiaoying You – BBC Future','published': '2025-10-20T09:47:59.447Z','updated': '2025-10-20T09:47:59.447Z'});s_bbcws('track','pageView');
Compartir esta nota